薄扶林水塘落成後,市民對食水的需求有增無減,為應付所需,政府於一八八三至一九一七年期間,進行大潭計劃和大潭篤計劃,建造了多個容量更大的水塘,以及一些更為複雜的供水系統。在該兩項計劃下,多個水塘相繼落成,包括大潭上水塘(於一八八八年落成)、大潭副水塘(於一九〇四年落成)、大潭中水塘(於一九〇七年落成)和大潭篤水塘(於一九一七年落成)(現統稱大潭水塘群)。隨著供水系統得到改善,都市的發展逐漸從中西區擴展至港島東部,擴大了香港的市區面積。
大潭水塘群廿二項歷史構築物於二〇〇九年列為古蹟。
| 圖片 | |
|---|---|
| 大潭上水塘水壩(1883-1888) | 相片一 | 相片二 | 圖則 |
| 大潭上水塘水掣房(1883-1888) | 相片一 | 相片二 | 圖則 |
| 大潭上水塘石砌輸水道(1883-1888) | 相片一 | 圖則 |
| 大潭上水塘石橋(1883-1888) | 相片一 | 圖則 |
| 大潭上水塘的隧道進水口(1883-1888)及記錄儀器房(1917) | 相片一 | 相片二 | 圖則 |
| 寶雲輸水道的21孔拱券段(1885-1887) | 相片一 | 圖則 |
| 大潭副水塘水壩(1904) | 相片一 | 圖則 |
| 大潭副水塘水掣房(1904) | 相片一 | 圖則 |
| 大潭中水塘水壩(1904-1907) | 相片一 | 圖則 |
| 大潭中水塘水掣房(1904-1907) | 相片一 | 圖則 |
| 大潭篤水塘水壩(1917) | 相片一 | 相片二 | 圖則 |
| 大潭篤水塘水掣房(1917) | 相片一 | 圖則 |
| 大潭篤水塘紀念碑(1918) | 相片一 | 圖則 |
| 大潭篤水塘石橋(1907) | 相片一 | 圖則 |
| 大潭篤水塘石橋(1907) | 相片一 | 圖則 |
| 大潭篤水塘石橋(1907) | 相片一 | 圖則 |
| 大潭篤水塘石橋(1907) | 相片一 | 圖則 |
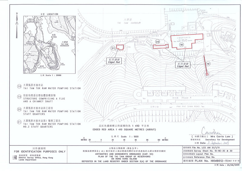
| 大潭篤原水抽水站(1907) | 相片一 | 相片二 | 圖則 |
| 大潭篤原水抽水站的煙囪體及其排煙道(1907) | 相片一 | 圖則 |
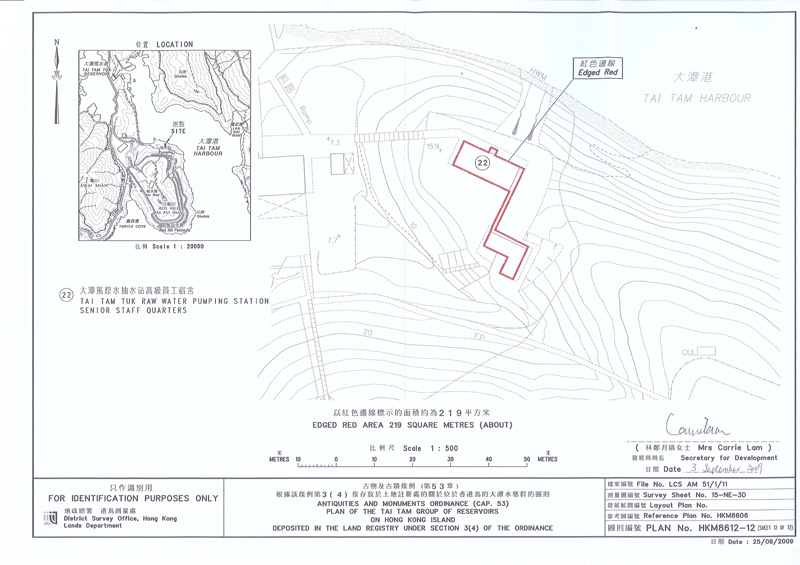
| 大潭篤原水抽水站高級員工宿舍(1905) | 相片一 | 相片二 | 圖則 |
| 大潭篤原水抽水站員工宿舍(1905-1907) | 相片一 | 圖則 |
| 大潭篤原水抽水站第2號員工宿舍(1936) | 相片一 | 圖則 |
參考資料:
如欲取得更多關於水務歷史設施的資料,請瀏覽以下網頁:
水務署